Location de bureau de 4 563 m² à Guyancourt - 78280 Réf : 140788-0L

Photos
Visiter le Quartier
Vidéo
Plans
Carte
4 563 m² divisibles à partir de 314m²
/ m²/an
/ mois
/ an
170 €
Email
Téléphone
Cushman & Wakefield IDF Sud 2ème Couronne
Cushman & Wakefield IDF Sud 2ème Couronne
Mentions sur la protection de données personnelles
loader Location de bureau de 4 563 m² à Guyancourt - 78280
Contacter Lisa Berveglieri par téléphone pour la REF 140788-0L au : 0169298625

Description du bien

LE RENAISSANCE
Immeuble LE RENAISSANCE
A louer, bureaux sur Guyancourt, Saint-Quentin-En-Yvelines.
Au sein du Renaissance, immeuble de standing bénéficiant d'une belle visibilité, nous vous proposons plusieurs surfaces de bureaux.
Situés à 15 min à pied de la gare de Saint-Quentin-en-Yvelines, les locaux sont rénovés et climatisés, et bénéficient de nombreux services : hôtesse d'accueil, RIE, barista...
Excellent ratio de parkings en sous-sol.

Accessibilité:

RER Invalides-Austerlitz (C)
SNCF Saint-Quentin-en-Yvelines
Bus 25 lignes
Accès routier N118, N286, N10, N12
Autoroute A13, A12, A86
 
ÉtageTypeSurfacesDispoLoyerChargesType de bail
Rév. annuelle
SSArch./Reser.107Immédiate85 HT/HC/m²/an62,1 HT/m²/an3-6-9 ans
Indexation sur l'indice ILAT
SSArch./Reser.97Immédiate85 HT/HC/m²/an62,1 HT/m²/an3-6-9 ans
Indexation sur l'indice ILAT
SSArch./Reser.92Immédiate85 HT/HC/m²/an62,1 HT/m²/an3-6-9 ans
Indexation sur l'indice ILAT
SSArch./Reser.88Immédiate85 HT/HC/m²/an62,1 HT/m²/an3-6-9 ans
Indexation sur l'indice ILAT
SSArch./Reser.87Immédiate85 HT/HC/m²/an62,1 HT/m²/an3-6-9 ans
Indexation sur l'indice ILAT
SSArch./Reser.85Immédiate85 HT/HC/m²/an62,1 HT/m²/an3-6-9 ans
Indexation sur l'indice ILAT
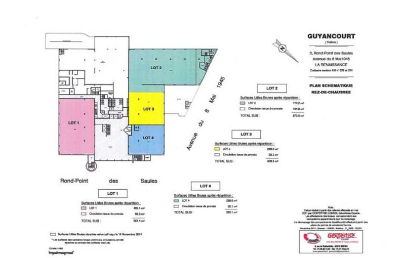
RdCBureaux1185Immédiate170 HT/HC/m²/an62,1 HT/m²/an3-6-9 ans
Indexation sur l'indice ILAT
RdCBureaux314Immédiate170 HT/HC/m²/an62,1 HT/m²/an3-6-9 ans
Indexation sur l'indice ILAT
1Bureaux939Immédiate170 HT/HC/m²/an62,1 HT/m²/an3-6-9 ans
Indexation sur l'indice ILAT
1Bureaux641Immédiate170 HT/HC/m²/an62,1 HT/m²/an3-6-9 ans
Indexation sur l'indice ILAT
1Bureaux583Immédiate170 HT/HC/m²/an62,1 HT/m²/an3-6-9 ans
Indexation sur l'indice ILAT
2Bureaux901Immédiate170 HT/HC/m²/an62,1 HT/m²/an3-6-9 ans
Indexation sur l'indice ILAT
ParkingsImmédiate1000 HT/HC/U/an50 HT/U/an3-6-9 ans
Indexation sur l'indice ILAT
ParkingsImmédiate800 HT/HC/U/an50 HT/U/an3-6-9 ans
Indexation sur l'indice ILAT


Impôt Foncier : 30 €//m²/an
Régime Fiscal : T.V.A.
Dépôt de garantie : 3 mois de loyer HT/HC
Honoraires : 15 % HT du loyer annuel HT/HC à la charge du preneur.
Taxe Bureau : 10,73 €/m²/an

Prestations :


  • Immeuble en R+3 construit en 2001
  • Architecte : ARTE CHARPENTIER
  • Bureaux climatisés
  • Plateaux rénovés
  • Contrôle accès badge
  • 3 ascenseurs
  • Accès PMR
  • 1 monte charge (1 200 kg)
  • Surveillance sur site
  • Restaurant Interentreprises rénové pouvant accueillir les réunions (écrans, WIFI)
  • Snacking et barista dans le hall
  • Salle de sport à proximité
  • Conciergerie à l'étude
  • Labelisé BREEAM Very Good
  • Capacitaire : ratio de 1 poste/10,5m² utiles
  • Surface RDC : 1499 m²



Les informations sur les risques auxquels ce bien est exposé sont disponibles sur le site Géorisques : www.georisques.gouv.fr
Parking(s) intérieur(s) Parking(s) extérieur(s)
Bâtiment économe 0
kWhEP/m²/an
Bâtiment énergivore
Faible émission de GES 0
kgeqCO2/m²/an
Forte émission de GES
Afficher les consommations énergétiques

Transports en commun autour du bien

Signaler cette annonce
Conseil en immobilier d'entreprise, Cushman & Wakefield est un acteur incontournable au rayonnement international. Cushman & Wakefield offre des solutions dans toutes les étapes que comporte un projet immobilier, aussi bien pour la gestion que la commercialisation aux propriétaires, investisseu ...En savoir plus sur Cushman & Wakefield IDF Sud 2ème Couronne à Villebon-sur-Yvette

Vous pourriez être également intéressé par ces annonces : Location de bureau de 4 563 m² à Guyancourt - 78280

  • Location Bureau Guyancourt (78280) Visite 3D

    Location bureau Guyancourt (78280) - 535 m²

    1 300€/mois 120 à 535 m²

    • ERP
    • RDC
    • Parking
    • Climatisé
  • Location Bureau Guyancourt (78280)

    Location bureau Guyancourt (78280) - 307 m²

    1 227€/mois 92 à 307 m²

    • ERP
    • Accès PMR
    • RDC
    • Parking
    • Climatisé
  • Location Bureau Guyancourt (78280)

    Location bureau Guyancourt (78280) - 698 m²

    3 000€/mois 300 à 698 m²

    • Immeuble indépendant
    • Parking
    • Climatisé
  • Location Bureau Guyancourt (78280)

    Location bureaux Guyancourt - Proche gare SQY et autoroutes

    9 276€/mois 543 à 3 045 m²

    • Certif environnementale
    • Parking
    • Climatisé
Call us Par téléphone Appelez l'annonceur
Call us Par mail Remplissez le formulaire